昭島市拝島町5丁目の駐車場

東京都昭島市拝島町5丁目

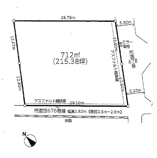
所在地
東京都昭島市拝島町5丁目
築年
-(-)
交通

物件の特徴

基本情報

物件名
昭島市拝島町5丁目の駐車場
種別/構造
駐車場/-
築年月
-(-)
総戸数
-
所在地
東京都昭島市拝島町5丁目
交通

設備条件

設備条件
  • 初期費用カード決済可

昭島市拝島町5丁目の駐車場

-(-)

お気軽にお問い合わせください

無料お問い合わせ

株式会社センセール

042-595-8368

9:00~18:00

(休:水・日曜日・祝日)